
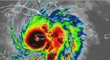
Um mapa meteorológico mostrou que o Furacão Melissa atingiu Cuba no início da quarta-feira (29), horas depois de causar devastação na vizinha Jamaica como a tempestade mais forte já registrada a atingir o país.
Melissa atingiu a costa sul do leste de Cuba com ventos máximos sustentados de 195 km/h, informou o Centro Nacional de Furacões (NHC) dos EUA.
Cerca de 735 mil pessoas foram evacuadas de suas casas no leste de Cuba com a aproximação da tempestade, disseram as autoridades. O presidente cubano, Miguel Diaz-Canel, alertou na terça-feira que a tempestade causaria "danos significativos" e pediu que as pessoas obedecessem às ordens de evacuação.
Melissa havia enfraquecido para um ainda perigoso furacão de Categoria 3 depois de atingir a costa perto da cidade de New Hope, no sudoeste da Jamaica, na terça-feira (28 de outubro), com ventos sustentados de até 298 km/h (185 mph), de acordo com o serviço de previsão do tempo sediado em Miami.
As tempestades de Categoria 5, o nível mais alto na escala de furacões Saffir-Simpson, apresentam ventos de 252 km/h (157 mph) ou mais.

